Saw a guy doing some surveying outside of the Pelican building this morning. I couldn't tell if he was doing the property or something on Grand. Anyone know anything?
- 2,063
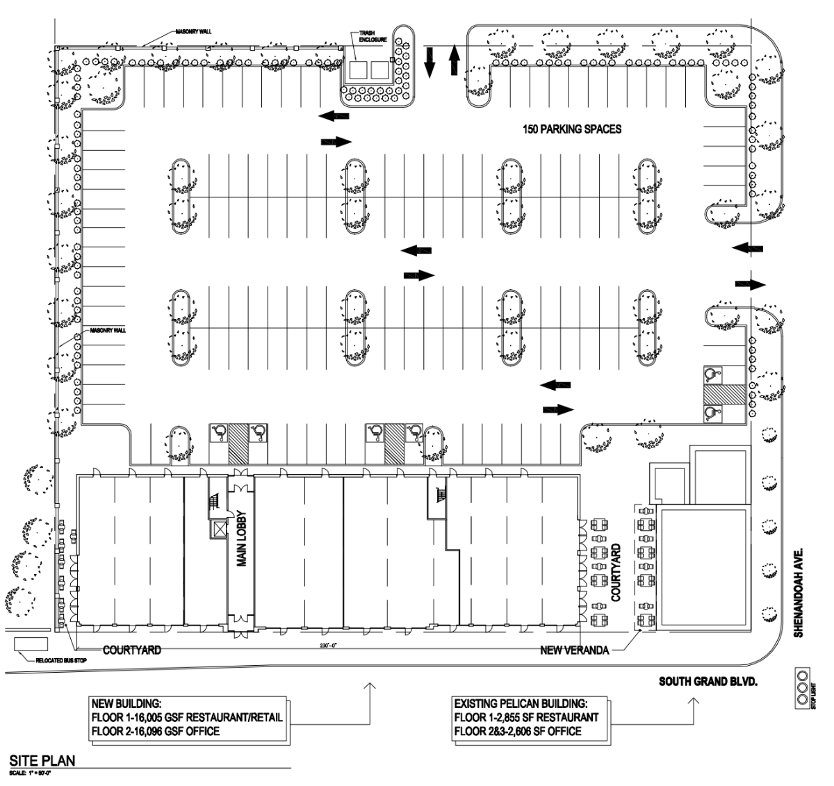
I saw it got tagged pretty heavily a few weeks ago... :/ maybe they are moving forward with this?https://nextstl.com/2015/04/proposal-wo ... -building/
- 289
Any news on the Pelican Building? I remember seeing For Sale signs on it a few months back, now those appear to be gone. Haven't heard anything in a while.
- 2,430
Pelican Building and YMCA were sold earlier this year but dunno what the plans are.
- 11K
^ Word is that it's being built - similar to old plans, or at least I haven't heard otherwise. Domino's Pizza will be moving from down the street. There will be other tenants finalized soon. Owner is Domino's franchise with 73 stores.
The old images:
https://nextstl.com/wp-content/uploads/ ... rand_1.jpg
https://nextstl.com/wp-content/uploads/ ... rand_3.png
https://nextstl.com/wp-content/uploads/ ... rand_2.png
The old images:
https://nextstl.com/wp-content/uploads/ ... rand_1.jpg
https://nextstl.com/wp-content/uploads/ ... rand_3.png
https://nextstl.com/wp-content/uploads/ ... rand_2.png
- 289
Thanks for the update. Hopefully something gets done at the Pelican site. Seems like the key factor in extending the South Grand action north of Arsenal. Now if we could only get some progress south of Utah, through Gravois and beyond.
- 2,430
Grand South Grand continues to do its thing... some recent progress:
- the co-working space just west of the City Diner patio is about to open and looks like a great space
- the building just west of King & I is making progress on the Asian Fusion restaurant by Cafe Mochi owners
- 25 apartments are planned for the old St. Pius V School
- the co-working space just west of the City Diner patio is about to open and looks like a great space
- the building just west of King & I is making progress on the Asian Fusion restaurant by Cafe Mochi owners
- 25 apartments are planned for the old St. Pius V School
- 289
Good news lately, but there are a few commercial vacancies available on the S Grand strip that need to get filled. Gotta keep the ball moving.
South Grand Historic Walking Tour
South Grand Detailed Histories
http://southgrand.org/south-grand-histo ... king-tour/
South Grand Detailed Histories
http://southgrand.org/south-grand-histo ... king-tour/
- 2,430
The old Absolutli Goosed spot is getting a pizza place from the guy behind pieology.
Pizzeoli, not Pieology.STLrainbow wrote: ↑Jan 11, 2017The old Absolutli Goosed spot is getting a pizza place from the guy behind pieology.
With a few recent and soon-to-be openings, there is not much left at all for ground floor space available in the district.... just the old pawn shop (building for sale) and the small space right next to it.
Pretty exciting times but a donut/coffee shop/bakery is needed desperately!
Pretty exciting times but a donut/coffee shop/bakery is needed desperately!
- 289
The old pawn shop would be great for that! I wonder what's taking so long on that building? Asking price just too high?STLrainbow wrote: ↑Apr 25, 2017With a few recent and soon-to-be openings, there is not much left at all for ground floor space available in the district.... just the old pawn shop (building for sale) and the small space right next to it.
Pretty exciting times but a donut/coffee shop/bakery is needed desperately!
- 2,430
^ I suspect that's the case... I believe the owner has reduced the price and is willing to make a deal but it's still gonna need a lot of rehab work. Probably just a matter of time before the right plan comes into place.
South Grand named one of 5 Great Streets for 2017:
http://www.stltoday.com/news/local/metr ... ab43c.html
http://www.stltoday.com/news/local/metr ... ab43c.html
- 6,138
Since the Ruler Foods is a going concern that's useful to the neighborhood and the building is sound I wouldn't bet on it. It would be nice to see something other than the parking sea on the corner, to be sure. And it's not a remotely attractive building. I'd actually guess you'd have better luck getting something on the west side of Grand at Shenandoah first. Lots of vacant land and low use property right across from what could be pretty hopping.
- 2,430
^ that Shenandoah and Grand situation is kind of a site spot for me... the vacant lot and the un/under-utilized surface lots behind are owned by AT&T and I don't think will be redeveloped despite clear potential for significant mixed-use. Also Grand Center and Delmar Loop key holdings I think AT&T is just sitting on.
In better news, a Mexican restaurant (from Los Palmas family) will be moving into the Mekong space.
In better news, a Mexican restaurant (from Los Palmas family) will be moving into the Mekong space.
So, where is the boutique hotel proposal for South Grand? Or Soulard?
There aren't many mixed-use neighborhoods left without a boutique hotel proposal, and yet those seem like the best locations to me.
There aren't many mixed-use neighborhoods left without a boutique hotel proposal, and yet those seem like the best locations to me.
Nice recitation of the efforts on South Grand and transit from Rachel Witt, Executive Director of the South Grand Community Improvement District
South Grand is looking to create a Special Use District to forbid some uses. Scratching my itch right there!
https://www.stlouis-mo.gov/government/d ... 22-SUD.pdfThe attached draft board bill (Attachment 1) regulates changes in use and new development within the SUD Area by prohibiting twelve different uses, many of which are car-oriented businesses rather than people and pedestrian oriented, such as drive thru’s or motor fuel pumping stations, uses that the neighborhood has deemed potentially detrimental to the family character they wish to see developed here, such as pawn shops, or uses that are outdated and would be inappropriate for a small commercial corridor such as meat packing, milk distribution and bottling plants.
- 99
Anyone know why the SUD doesn't extend all the way to the Gravois intersection?
- 488
There are already drive thruways & gas stations on that stretch of Grand? Maybe thats it - I dont know.




